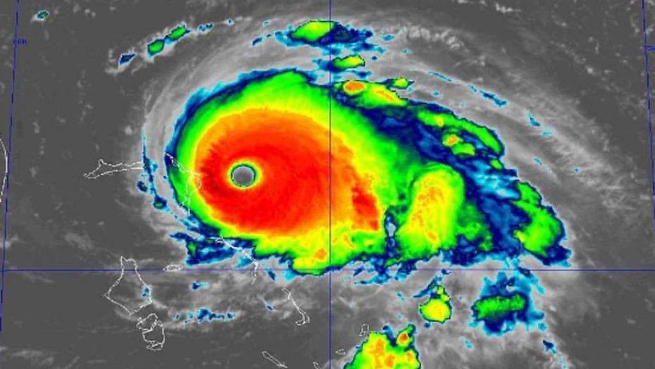
В Национальном центре США по слежению за ураганами заявили, что надвигающийся на Южную Каролину шторм "Дориан" достиг максимальной категории, сообщает RT.
"Ураган "Дориан" достиг пятой категории при скорости ветра 160 миль в час", –говорится в информации.
NEW: #Dorian is now a category 5 #hurricane with 160 mph sustained winds. The eyewall of this catastrophic hurricane is about to hit the Abaco Islands with devastating winds. Next advisory: https://t.co/tW4KeFW0gB pic.twitter.com/oFspgN0XbT
— National Hurricane Center (@NHC_Atlantic) 1 сентября 2019 г.
Губернатор штата Генри Макмастер уже объявил режим ЧС. По данным специалистов, ураган может обрушиться на побережье штатов Джорджия и Южная Каролина на следующей неделе.
Из-за приближающейся стихии к эвакуации готовят жителей Флориды. Они в 2018 году пережили сильнейший ураган "Майкл". Тогда погибли по меньшей мере шесть человек: четверо погибли во Флориде, один – в Северной Каролине, 11-летняя девочка стала жертвой стихии в Джорджии. "Майкл" назвали третьим по мощности ураганом в США.
-
1✈️ В аэропорту Алматы начали реконструкцию главного входа
-
2784
-
1
-
13
-
-
2😷 Гонконгский грипп в Казахстане: чем опасен вирус и что рекомендуют медики
-
2517
-
0
-
8
-
-
3💣В Астане взорвался газовый баллон в тандырной: пострадали 4 человека
-
2508
-
3
-
26
-
-
4🤔 Не успели морозы вступить в силу, как тут же сдали позиции.
-
2413
-
1
-
6
-
-
5🎵 Щелкунчик, квартирники и AZAGHAL. Что можно посмотреть в Алматы и Астане с 11 по 31 декабря
-
2541
-
0
-
8
-
-
6🚕 Учишь казахский - ездишь бесплатно: в Темиртау появилось необычное такси
-
2627
-
0
-
48
-
-
7🚧 Из-за непогоды закрыли участки трасс в двух регионах Казахстана
-
2123
-
0
-
7
-
-
8👀🛰 Большого брата включили: в «Алтын-Эмеле» на снежного барса надели GPS-ошейник
-
2085
-
3
-
39
-
-
9🚌 Три пригородных автобуса приостановили движение в Астане
-
2101
-
0
-
8
-
-
10😔 Два человека погибли во время пожара в кафе в Карагандинской области
-
2083
-
0
-
18
-
USD:
521.5 / 524.1
EUR:
611.5 / 616.5
RUB:
6.45 / 6.57