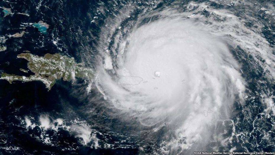
Власти Флориды проводят самую масштабную в истории США эвакуацию, призвав более четверти жителей штата, а это 5,6 млн человек, срочно покинуть свои дома на побережье, сообщает golos-ameriki.ru.
Губернатор Флориды Рик Скотт охарактеризовал "Ирму" как "катастрофический шторм, которого раньше в штате никогда не видели", отметив, что полоса прохождения шторма больше, чем весь штат Флорида.
Житель Майами Альп Инал рассказал, что мегаполис сейчас похож на город-призрак, поскольку большинство людей прислушались к предупреждениям об эвакуации и покинули свои дома.
"Южный пляж, центр города, все эти районы опустели. Люди бегут из города на машине или на самолёте, если они могут приобрести билеты в любую точку. Вы не можете найти бензин на заправочных станциях, и более половины автозаправок в Майами не работают", – отметил Инал.
Он рассказал, что его семья летит в Бостон, потому что это единственное место, куда они смогли взять авиабилеты. "Мы искали билеты в Нью-Йорк, Вашингтон, Атланту и Нэшвилл, но мы не смогли их найти", – пояснил Инал.
Сейчас ураган "Ирма" приближается к южному побережью Флориды. Днём ранее он стал причиной колоссальных разрушений на Карибских островах и унёс жизни по меньшей мере 22 человек. Предполагается, что ураган, который обрушится сегодня на Флориду, будет самым мощным за всю историю метеонаблюдений.
"Дело действительно очень серьёзное. Но мы подготовились на самом высоком уровне. Надеюсь, все будет хорошо", – заверил журналистов президент США Дональд Трамп перед своим отлётом в Кэмп-Дэвид.
В Федеральном агентстве по управлению ЧС сообщили, что уже подготовлен запас воды, продуктов питания, медицинских принадлежностей и препаратов, детского питания.
Первый удар урагана "Ирма" пришёлся на французские территории Сен-Бартелемм и Сен-Мартен 6 сентября. Далее были острова Карибского бассейна и Куба. Скорость ураганного ветра достигала 300 км в час. "Ирма" оставила без крова более миллиона человек.
-
1❄️Снегопады парализовали авиасообщение в США
-
3108
-
0
-
5
-
-
2⚡️ Скончался заслуженный деятель Казахстана Нурлан Сегизбаев, сообщает министерство культуры и информации.
-
2741
-
4
-
76
-
-
3🗣 Проломил жене череп и размозжил лицо: осуждённого по делу Алтынай оставят в колонии-поселении
-
2796
-
3
-
54
-
-
4❗️«Не пейте энергетики» - пациент после трансплантации сердца обратился к казахстанцам
-
2919
-
2
-
29
-
-
5😔 Скончалась звезда фильма «Москва слезам не верит» актриса Вера Алентова
-
2656
-
1
-
65
-
-
6⭕Более 30 тонн катодной меди украли из железнодорожного вагона в Карагандинской области
-
2843
-
3
-
21
-
-
7🔥 Огненный затор в Японии: массовое ДТП на 67 автомобилей
-
2537
-
0
-
24
-
-
8🌡Прогноз погоды на 28 декабря: 25-градусные морозы сохраняются на севере страны, на юге днём до +10
-
2428
-
0
-
7
-
-
9💰 Друзья, будьте внимательны! Кибермошенники запустили новую схему захвата аккаунтов WhatsApp.
-
2394
-
1
-
12
-
-
10❗️В горах Алматы нашли тела ещё двух погибших туристов
-
2466
-
1
-
63
-
lw-3094948329-4
USD:
509.1 / 514.1
EUR:
595.0 / 601.0
RUB:
6.37 / 6.49